Πέθανε ο θρυλικός τραγουδιστής της ρέγκε Τζίμι Κλιφ Μαζί με τον Μπομπ Μάρλεϊ τιμήθηκε με το Τάγμα Αξίας της Τζαμάικα
Ο κυκλώνας Μελίσα χτυπά την βόρεια Καραϊβική, επιταχύνεται ενώ κατευθύνεται προς τις Βερμούδες Ο τρίτος ισχυρότερος τυφώνας που έχει καταγραφεί στην Καραϊβική
Πάνω από 30 οι νεκροί σε χώρες της Καραϊβικής από τον θανατηφόρο κυκλώνα Μελίσα Σε «πρωτοφανή επίπεδα» οι καταστροφές στην Τζαμάικα
Η χειρότερη καταιγίδα στην ιστορία της Τζαμάικα: Το καταστροφικό πέρασμα του τυφώνα «Μελίσα» Δείτε βίντεο
Τρεις νεκροί στην Τζαμάϊκα, καθώς πλησιάζει ο κυκλώνας Μελίσα Απειλεί με καταστροφικές πλημμύρες και κατολισθήσεις
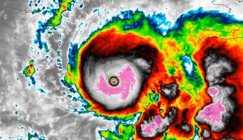
Ο κυκλώνας Μελίσα στην Καραϊβική ενισχύθηκε στη μέγιστη βαθμίδα 5 και απειλεί την Τζαμάικα, την Αϊτή και τη Δομινικανή Δημοκρατία Αναμένονται καταστροφικοί άνεμοι, καταιγίδες και πλημμυρικά φαινόμενα
Ο κυκλώνας Μπέριλ έπληξε την Τζαμάικα και κατευθύνεται προς το Μεξικό Έχει αφήσει πίσω του τουλάχιστον εννέα νεκρούς και έχει προκαλέσει σοβαρές καταστροφές
Τζαμάικα: Σεισμός 5,4 Ρίχτερ κοντά στην πρωτεύουσα Κίνγκστον Ο πρωθυπουργός της χώρας δεν ανέφερε πληροφορίες για τυχόν θύματα