Ο κυκλώνας Μελίσα στην Καραϊβική ενισχύθηκε στη μέγιστη βαθμίδα 5 και απειλεί την Τζαμάικα, την Αϊτή και τη Δομινικανή Δημοκρατία

Ο κυκλώνας Μελίσα στην Καραϊβική ενισχύθηκε στη μέγιστη βαθμίδα 5 και απειλεί την Τζαμάικα, την Αϊτή και τη Δομινικανή Δημοκρατία

Αναμένονται καταστροφικοί άνεμοι, καταιγίδες και πλημμυρικά φαινόμενα

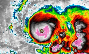
Ο κυκλώνας Μελίσα αναβαθμίστηκε σήμερα στη μέγιστη κατηγορία 5 στην Καραϊβική, απειλώντας την Τζαμάικα, την Αϊτή και τη Δομινικανή Δημοκρατία με καταστροφικούς ανέμους και πλημμύρες τις επόμενες 48 ώρες.

«Η Μελίσα είναι πλέον κυκλώνας κατηγορίας 5», ανέφερε σήμερα στην ιστοσελίδα του το Αμερικανικό Εθνικό Κέντρο Κυκλώνων και Τυφώνων (NHC), με σφοδρούς ανέμους, ισχυρές βροχές και καταστροφικά πλημμυρικά φαινόμενα που αναμένεται να ενταθούν προοδευτικά στην Τζαμάικα στη διάρκεια της ημέρας και προς τη νύχτα. Η Μελίσα βρισκόταν σε απόσταση περίπου 505 χιλιομέτρων νότια-νοτιοδυτικά του Γκουαντάναμο, στην Κούβα, σύμφωνα με το NHC, που εδρεύει στο Μαϊάμι.

Το επίκεντρο του κυκλώνα «αναμένεται να περάσει κοντά ή πάνω κάτω από την Τζαμάικα σήμερα το βράδυ και αύριο, Τρίτη, να διασχίσει τη νοτιοανατολική Κούβα αύριο βράδυ και να κατευθυνθεί προς τις νοτιοανατολικές Μπαχάμες την Τετάρτη», εκτίμησε το NHC.

 

Η Μελίσα έχει ήδη προκαλέσει τον θάνατο τεσσάρων ανθρώπων: τριών στην Αϊτή και ενός στη Δομινικανή Δημοκρατία, όπου επίσης αγνοείται η τύχη ενός εφήβου.

Το NHC έκανε λόγο για ανέμους με ταχύτητα έως 260 χλμ/ώρα και «μεγάλα και καταστροφικά» κύματα. Η σχετικά χαμηλή ταχύτητα με την οποία κινείται ο κυκλώνας, περίπου 6 χλμ/ώρα, ανησυχεί τους ειδικούς, διότι υπάρχει ο κίνδυνος οι βροχές και οι κατολισθήσεις που προκαλεί να διαρκέσουν περισσότερο.

 

«Είναι πιθανές καταστροφικές ξαφνικές πλημμύρες και πολυάριθμες κατολισθήσεις», σύμφωνα με το NHC.

Οι κάτοικοι στις περιοχές που επηρεάζονται «πρέπει να παραμείνουν στα σπίτια τους έως δύο ή τρεις ημέρες, ίσως και περισσότερο για τους πληθυσμούς που θα απομονωθούν από τις καταστροφικές πλημμύρες», έχει ήδη τονίσει σε μαγνητοσκοπημένο μήνυμά του ο διευθυντής του NHC Τζέιμι Ρομ. Προειδοποίησε ότι οι συνθήκες στη Τζαμάικα θα επιδεινωθούν «πολύ, πολύ γρήγορα τις επόμενες ώρες».

Η Μελίσα ήταν η 13η τροπική καταιγίδα της περιόδου εκδήλωσης φαινομένων αυτής της φύσης (αρχές Ιουνίου - τέλη Νοεμβρίου) στον Ατλαντικό.

Ο προηγούμενος ισχυρός κυκλώνας που είχε πλήξει την Τζαμάικα ήταν ο Μπέριλ, στις αρχές του Ιουλίου του 2024.